Geofísica
Utilizamos los más modernos e innovadores métodos geofísicos para la prospección de terrenos y alumbramiento de agua.
Water Technologies, cuenta con un equipo de profesionales con más de 25 años de experiencia en testificación geofísica y reconocimiento videográfico de pozos y sondeos, así como en geofísica de superficie. Tenemos en propiedad, el equipo más avanzado existente actualmente en el mercado, para la testificación y reconocimiento videográfico de sondeos. También contamos con equipos de geofísica de superficie, para llevar a cabo geofísica eléctrica, electromagnética, sísmica y georadar, con resoluciones de interpretación hasta 2.500 m de profundidad según el método empleado.
TESTIFICACIÓN DE POZOS Y SONDEOS
Water Technologies
dispone de un equipo de testificación geofísica para el reconocimiento in-situ de sondeos así como técnicos superiores expertos en el diagnóstico de los mismos. Con disponibilidad geográfica inmediata a nivel nacional y capacidad de diagnóstico para sondeos de hasta 1.200 m de profundidad. Water Technologies analiza con precisión el estado hidrogeológico y electromecánico de sus instalaciones para optimizar la explotación de las mismas y le proporciona soluciones llave en mano para su puesta a punto.
Cuando no se conocen las características de su pozo, o éste comienza a dar problemas, ya sea por disminución de los caudales, pérdida de calidad o por un descenso exagerado del nivel dinámico; es necesario saber qué está ocurriendo en su interior y así decidir razonadamente que actuaciones llevar a cabo para devolver el pozo a las condiciones óptimas de explotación. La testificación geofísica nos permite obtener esta valiosa información de una forma rigurosa y científica, aumentando considerablemente las probabilidades de éxito de las actuaciones de mejora.
El reconocimiento geofísico nos permite recopilar todos los parámetros característicos de un sondeo:
SONDEOS ELECTROMAGNÉTICOS EN EL DOMINIO DEL TIEMPO (SEDT).
Las tecnologías Time-domain electromagnetic (TDEM) o Sondeo Electromagnético en el Dominio del Tiempo (SEDT) son efectivas en la determinación de la conductividad eléctrica en suelos desde pocos metros hasta 1000 y mas metros de profundidad. Desde el momento que la conductividad esta fuertemente correlacionada a las propiedades del suelo, el TDEM representa una herramienta importante por el mapeo de suelos y cambios verticales y laterales de las propiedades en los mismos. Este método, que puede ser usado en diseño de sondeos o perfilaje, es una herramienta muy importante en la investigación hidrogeológica en ambiente sedimentario / aluvial y en la caracterización de secuencias con presencia de lentes de aguas salobres en ambiente costero. El método puede ser también usado en estudios de agregados, caracterización de zona contaminada, aplicaciones mineras y otras que involucren la cartografía geológica.
Los valores de un sondeo SEDT se representan en forma de curvas de variación de la resistividad aparente en función del tiempo, y su interpretación se lleva a cabo mediante secciones de conductividad y secciones 2D de resistividad, que pueden ser compiladas para la caracterización y definición geométrica de la secuencia electro estratigráfica.
La profundidad de investigación esta en función del retardo (delay time) del campo decreciente y es independiente de la separación entre las bobinas emisora y receptora. Al aumentar el tiempo, la intensidad de corriente se propaga a mayores profundidades. El método es rápido (pocos minutos de medida por cada sondeo) y permite alcanzar, en función de las dimensiones/geometría de las bobinas (bucles) usadas y de la potencia del transmisor, desde pocas decenas de metros (NanoTEM para estudios de alta resolución) a algunos km de profundidad (LoTEM donde se utiliza un gran dipolo transmisor y un generador de alta potencia)
Las principales ventajas del SEDT son:
- Una gran sensibilidad a los terrenos conductores.
- Un excelente poder de resolución vertical (elemento importante en ambiente geológico con variaciones de resistividad verticales como las estratificaciones en ambiente sedimentario/aluvial),
- Una buena detección de las anomalías de baja resistividad en un terreno conductor, y,
- Una ejecución práctica debida a la ausencia de contacto con el suelo y, por lo tanto, rápida en un terreno despejado.
Aplicaciones
Las aplicaciones del método SEDT están en función de las características del instrumento y pueden variar desde aplicaciones superficiales (NanoTem) a profundas (Long Offset Transient Domain). Para el campo de la hidrogeología, investigación geológica, geotermia, etc., el método más usado es el SEDT de 100 m a 400 m de bucle (aplicaciones comunes desde 100 m hasta 1000 m de profundidad, pudiendo alcanzar los 1500 m).
Se trata de un método robusto y ampliamente aceptado. Como todos los métodos electromagnéticos resulta menos sensible a ruido de tipo geológico que otros métodos. Es también un método activo, la general alta relación señal / ruido permite adquirir datos confiables en cualquier ambiente. Excelente en la caracterización de variaciones electromagnéticas verticales en medios sub horizontales estratificados (secuencias sedimentarias y aluviales) y en caracterización de cunas salobres en ambiente costeros.
TOMOGRAFÍAS
El método "eléctrico" cuadripolar consiste en introducir una corriente eléctrica continua en la superficie del terreno a través de dos electrodos de "corriente". Se mide el voltaje mediante otro par de electrodos. A partir del valor de la corriente inyectada y del voltaje medido se obtiene la "resistividad aparente" del subsuelo.
Cada tipo de material presenta un rango de resistividad "real" más o menos característico. Las cavidades vacías (llenas de aire) presentan una resistividad aparente que tiende al infinito: los terrenos saturados son altamente conductores y por tanto presentan baja resistividad, etcétera. El método eléctrico es una de las técnicas geofísicas más antiguas y ha ido evolucionando en función de las capacidades de los equipos de adquisición y procesado de datos.
Según la posición de los electrodos la corriente penetra más o menos en el terreno. En la práctica se extiende una línea con varios electrodos que son seleccionados de cuatro en cuatro por el equipo de campo (resistivímetro). De esta manera se obtienen gran número de puntos de resistividades aparentes.
El objetivo específico de esta técnica es determinar el valor de la resistividad eléctrica real y su distribución en el subsuelo a partir de mediciones realizadas en superficie en numerosos puntos de un perfil, interpolándose los datos posteriormente para hacer un corte de resistividad del terreno.
Posteriormente, los datos son procesados con algoritmos mediante herramientas informáticas que tras un proceso de iteraciones aproximan la sección medida a un modelo teórico real.
El resultado final es una sección distancia-profundidad, con la distribución de la resistividad eléctrica real del subsuelo, fácilmente comprensible en términos hidrogeológicos, geológicos y/o geotécnicos.
Aplicaciones
Por su capacidad resolutiva al investigar hasta profundidades que pueden llegar a centenares de metros, la Tomografía eléctrica es aplicable a cualquier estudio del subsuelo donde interese identificar todo tipo de accidentes o discontinuidades que representen un contraste suficiente en la distribución de resistividad del medio rocoso. Entre los objetivos más habituales a resolver mediante esta técnica cabe mencionar los siguientes:
- Detección y caracterización de fallas determinando su zona de influencia, rumbo, buzamiento y extensión en profundidad.
- Detección de contactos entre unidades litológicas de diferente naturaleza, determinando la morfología y localización precisa de tales discontinuidades.
- Detección y caracterización de cavidades y huecos, tales como accidentes kársticos, canalizaciones, depósitos, rellenos arcillosos, etc.
- Determinación de unidades acuíferas, niveles freáticos, intrusión marina, etc.
La tomografía eléctrica, por su capacidad de penetración vertical, resulta muy útil para su aplicación en hidrogeología, arqueología, geotecnia, medio ambiente, detección de residos sólido y lixiviados, etc.
Como cualquier otro método geofísico la Tomografía eléctrica puede ser muy efectiva o puede resultar inútil dependiendo de varios factores que conviene tener presentes. Los más relevantes pueden los siguientes:
- Correcta planificación de su aplicación basándose en una buena definición del problema a resolver.
- Empleo de la instrumentación adecuada para obtener y procesar de forma económica el gran volumen de datos que las medidas tomográficas requieren.
- Ejecución de estos estudios por parte de personal experto tanto en las medidas de campo como en su posterior procesado e interpretación. El riesgo de los procesos semiautomáticos en la aplicación de los métodos geofísicos es que pueden llevar a resultados aberrantes desde el punto de vista geológico aunque sean matemáticamente correctos.
La participación de los técnicos cualificados de Water Technologies en la planificación y ejecución de este tipo de estudios geofísicos es ineludible, para garantizar la obtención de los resultados capaces de resolver los problemas con el grado de precisión que la comunidad técnica demanda y que el método de la tomografía eléctrica puede dar.
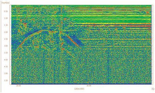
GEORRADAR
El Radar de Tierra Penetrante o Georadar (GPR) es un método geofísico que utiliza pulsos de radar para reproducir una imagen del subsuelo . Este método no destructivo utiliza la radiación electromagnética en el ancho de banda de microonda (frecuencias de UHF/VHF) del espectro de radio, y detecta las señales reflejadas de las estructuras subsuperficiales.
GPR se puede utilizar en una gran variedad de medios, incluyendo roca, suelo, hielo, agua dulce, pavimentos y estructuras. Puede detectar objetos, los cambios en material, y los vacíos y las grietas. GPR utiliza antenas de transmision y de recepción o solamente una que contenga ambas funciones. La antena que transmite irradia pulsos cortos de las ondas de radio (generalmente polarizadas) de alta frecuencia en la tierra. Cuando la onda golpea un objeto enterrado o un límite con diversas constantes dieléctricas, las variaciones de la señal son reflejadas y registradas. Los principios implicados son similares a la sismología de la reflexión, salvo que la energía electromagnética se utiliza en vez de energía acústica, y las reflexiones aparecen en los límites con diversas constantes dieléctricas en vez de impedancias acústicas.
La profundidad de alcance del GPR está limitada por la conductividad eléctrica de la tierra, de la frecuencia de centro transmitida y de la energía irradiada. Mientras que la conductividad aumenta, la profundidad de penetración también disminuye. Esto es porque la energía electromagnética se disipa más rápidamente en calor, causando una pérdida en fuerza de señal en profundidad. Frecuencias más altas no penetran hasta frecuencias más bajas, sino que permiten obtener una mejor resolución. La penetración óptima se alcanza en el hielo, donde la profundidad de la penetración puede llegar a varios centenares de metros. También se alcanza en suelos arenosos secos o materiales secos macizos tales como granito, piedra caliza, y en concreto donde la profundidad podría ser de hasta 15 m. En suelos húmedos y/o arcillosos y suelos con alta conductividad eléctrica, la penetración es a veces de solamente algunos centímetros.
Aplicaciones
GPR tiene aplicación en númerosos y diferentes campos. Su limitación viene impuesta por su alcance en la penetración dentro del terreno, que se encuentra limitada a los metros iniciales del subsuelo.
- En geología/geotecnia se utiliza para estudiar la estructura de las litologías del subsuelo, cambios litológicos, contactos, suelos, agua subterránea, el hielo, etc.
- En hidrogeología se aplica el estudio de acuíferos superficiales y/o poco profundos
- En minería, el GPR se utilizan para conocer los límites, la traza o recorrido de los materiales a explotar, lo que facilita el diseño de la explotación.
- Los usos de la ingeniería incluyen la prueba no destructiva (NDT) de estructuras y de pavimentos, localizando las estructuras enterradas y el estado de las mismas, así como estudiando los contactos de las mismas con suelos y roca.
- También permite la localización de objetos en el subsuelo, tales como tuberías, cableados, canalizaciones, etc.
- En medio ambiente, el GPR se utiliza para definir el terreno, las plumas de contaminante, cambios en las características de los materiales y otros aspectos de la afección ambiental.
- En arqueología se utiliza para trazar características y ubicación de restos arqueológicos, fundamentalmente muros, cuevas, etc.
Las líneas individuales de datos de GPR representan una sección (denominada perfil) del subsuelo. Los datos recogidos sistemáticamente en varios perfiles se pueden utilizar para construir imágenes tridimensionales o tomográficas, ya sea como secciones intersectadas entre sí, o como un bloque tridimensional.








